Skip to content
Reward points = discounts. Don’t forget to redeem!
FREE SHIPPING ON US ORDERS OVER $50

Powered by HuraTips.Com

  • Products
  • Cowden Program
  • Dr. Will Cole Program
    • Learn More - The Dr. Will Cole Reset
    • The Dr. Will Cole Reset
  • About Us
  • (561) 745-2917
  • PRODUCT FINDER
Log in
    Nutramedix Products
    • Customer
    • Practitioner
    Cart
    • Products
    • Cowden Program
    • Dr. Will Cole Program
      • Learn More - The Dr. Will Cole Reset
      • The Dr. Will Cole Reset
    • About Us
    • (561) 745-2917
    • PRODUCT FINDER
    Access Denied
    IMPORTANT! If you’re a store owner, please make sure you have Customer accounts enabled in your Store Admin, as you have customer based locks set up with EasyLockdown app. Enable Customer Accounts

    Health, Wellness & Herbal Supplements Blog

    Doctor and Patient

    From Dismissal to Validation: How Long-Term Lym...

    October 20, 2025

    Overview Chronic Lyme Disease is finally being recognized within the scientific community. Studies from MIT, NIH, and Johns Hopkins confirm that Post-Treatment Lyme Disease Syndrome (PTLDS) results in persistent, measurable...

    From Dismissal to Validation: How Long-Term Lym...

    October 20, 2025

    Overview Chronic Lyme Disease is finally being recognized within the scientific community. Studies from MIT, NIH, and Johns Hopkins confirm that Post-Treatment Lyme Disease Syndrome (PTLDS) results in persistent, measurable...

    Why This Cat's Claw (Samento) Herbal Formula Differs From the Others

    Why This Cat's Claw (Samento) Herbal Formula Di...

    August 19, 2025

    Overview Samento is a unique TOA-free cat's claw extract that outperforms the traditional form. Unlike commercial cat's claw, Samento contains only beneficial POAs for optimal immune support. Discovered in the...

    Why This Cat's Claw (Samento) Herbal Formula Di...

    August 19, 2025

    Overview Samento is a unique TOA-free cat's claw extract that outperforms the traditional form. Unlike commercial cat's claw, Samento contains only beneficial POAs for optimal immune support. Discovered in the...

    Understanding Magnesium: Why This Mineral Matters for Your Wellbeing

    Understanding Magnesium: Why This Mineral Matte...

    August 19, 2025

    Overview Magnesium is involved in 300+ enzymatic processes, yet most Americans get only 70-80% of the RDA. Deficiency may cause fatigue, muscle cramps, and sleep issues. Benefits include energy production,...

    Understanding Magnesium: Why This Mineral Matte...

    August 19, 2025

    Overview Magnesium is involved in 300+ enzymatic processes, yet most Americans get only 70-80% of the RDA. Deficiency may cause fatigue, muscle cramps, and sleep issues. Benefits include energy production,...

    Why Your Brain Needs Daily Detox Support

    Why Your Brain Needs Daily Detox Support (And H...

    August 19, 2025

    Overview The brain needs daily detox support due to constant toxin exposure which can cause mental fog and cognitive issues. Traditional detox methods don’t cross the blood-brain barrier. The solution:...

    Why Your Brain Needs Daily Detox Support (And H...

    August 19, 2025

    Overview The brain needs daily detox support due to constant toxin exposure which can cause mental fog and cognitive issues. Traditional detox methods don’t cross the blood-brain barrier. The solution:...

    Why Tick Season Never Ends Anymore—And How to Protect Your Family Year-Round

    Why Tick Season Never Ends Anymore—And How to P...

    August 19, 2025

    Overview Recent changes in climate have created year-round tick activity with expanding populations, making family protection critical. Essential strategies include defensive clothing, staying on trail centers, tick checks within 2...

    Why Tick Season Never Ends Anymore—And How to P...

    August 19, 2025

    Overview Recent changes in climate have created year-round tick activity with expanding populations, making family protection critical. Essential strategies include defensive clothing, staying on trail centers, tick checks within 2...

    gut health foods

    The Importance of Gut Health

    July 20, 2023

    When it comes to our fitness, gut health is often an overlooked factor. Beyond its role in digestion, this intricate network of microorganisms plays a important role in our physical...

    The Importance of Gut Health

    July 20, 2023

    When it comes to our fitness, gut health is often an overlooked factor. Beyond its role in digestion, this intricate network of microorganisms plays a important role in our physical...

    NutraMedix Magnesium Malate for mineral support

    Magnesium Malate Benefits: Unleashing the Power...

    June 2, 2023

    In the realm of dietary supplements, one remarkable combination has gained significant attention for its numerous health benefits: Magnesium Malate. While magnesium and malic acid are well-known individually for their beneficial...

    Magnesium Malate Benefits: Unleashing the Power...

    June 2, 2023

    In the realm of dietary supplements, one remarkable combination has gained significant attention for its numerous health benefits: Magnesium Malate. While magnesium and malic acid are well-known individually for their beneficial...

    fitness supplements to support exercise and mental health

    Maximize Your Fitness to Unwind Your Body and Mind

    April 17, 2023

    Stress is one of those things that Americans must manage on a regular basis.  In fact, according to a study from the American Psychological Association, the average reported level of stress...

    Maximize Your Fitness to Unwind Your Body and Mind

    April 17, 2023

    Stress is one of those things that Americans must manage on a regular basis.  In fact, according to a study from the American Psychological Association, the average reported level of stress...

    Love Your Heart! - How to support your heart health.

    Love Your Heart! - How to support your heart he...

    February 7, 2023

    Share Loving yourself is all encompassing and that includes taking care of your heart health. While you’re focused on showing others some love, now is the perfect time to tune...

    Love Your Heart! - How to support your heart he...

    February 7, 2023

    Share Loving yourself is all encompassing and that includes taking care of your heart health. While you’re focused on showing others some love, now is the perfect time to tune...

    The Best Vitamins and Supplements to Give as Holiday Gifts

    The Best Vitamins and Supplements to Give as Ho...

    December 16, 2022

    Share Give the gift of health this holiday season with these top supplements Some people put a lot of thought into the gifts they give their loved ones during the...

    The Best Vitamins and Supplements to Give as Ho...

    December 16, 2022

    Share Give the gift of health this holiday season with these top supplements Some people put a lot of thought into the gifts they give their loved ones during the...

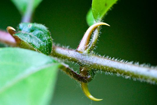
    The History of Cat’s Claw

    The History of Cat’s Claw

    November 30, 2022

    The history of cat’s claw in traditional herbalism goes back thousands of years. Cat’s claw is a tropical woody vine from the Rubiaceae family that is found across the globe....

    The History of Cat’s Claw

    November 30, 2022

    The history of cat’s claw in traditional herbalism goes back thousands of years. Cat’s claw is a tropical woody vine from the Rubiaceae family that is found across the globe....

    Liquid Extracts – Samento

    Liquid Extracts – Samento

    November 30, 2022

    It’s long known and well documented that plants, herbs, and botanicals harbor powerful compounds that offer a host of health and well-being benefits. And with modern science, researchers and formulators...

    Liquid Extracts – Samento

    November 30, 2022

    It’s long known and well documented that plants, herbs, and botanicals harbor powerful compounds that offer a host of health and well-being benefits. And with modern science, researchers and formulators...

    How to Support Metabolic Health for a Vibrant Life

    How to Support Metabolic Health for a Vibrant Life

    November 30, 2022

    The word “metabolism” is often used in the context of weight — but while metabolism impacts your body weight, it’s actually a vital part of life. Let’s take a look...

    How to Support Metabolic Health for a Vibrant Life

    November 30, 2022

    The word “metabolism” is often used in the context of weight — but while metabolism impacts your body weight, it’s actually a vital part of life. Let’s take a look...

    Hate swallowing pills? Try liquid extracts instead!

    Hate swallowing pills? Try liquid extracts inst...

    November 30, 2022

    Lots of people have trouble swallowing pills. The experience is far from pleasant and can cause gaging, vomiting, or choking. This can turn into a fear of swallowing pills, tablets,...

    Hate swallowing pills? Try liquid extracts inst...

    November 30, 2022

    Lots of people have trouble swallowing pills. The experience is far from pleasant and can cause gaging, vomiting, or choking. This can turn into a fear of swallowing pills, tablets,...

    Detoxification — Who Needs to Detoxify?

    Detoxification — Who Needs to Detoxify?

    November 30, 2022

    No matter how healthy you consider yourself to be, your body faces challenges on a daily basis from toxins that bog down your organs of detoxification. And unfortunately, many of...

    Detoxification — Who Needs to Detoxify?

    November 30, 2022

    No matter how healthy you consider yourself to be, your body faces challenges on a daily basis from toxins that bog down your organs of detoxification. And unfortunately, many of...

    6 Ways to Reduce Stress

    6 Ways to Reduce Stress

    November 30, 2022

    Life is never stress-free. Whether emotional or physical, stress is a normal part of being human. It’s the body’s response to a change or challenge – even exercise puts your...

    6 Ways to Reduce Stress

    November 30, 2022

    Life is never stress-free. Whether emotional or physical, stress is a normal part of being human. It’s the body’s response to a change or challenge – even exercise puts your...

    6 Ways to Improve Your Fitness

    6 Ways to Improve Your Fitness

    November 30, 2022

    It’s never too late to start working out. In fact, exercise can improve health conditions even if you start at an older age. Exercising regularly  can be challenging, if it’s...

    6 Ways to Improve Your Fitness

    November 30, 2022

    It’s never too late to start working out. In fact, exercise can improve health conditions even if you start at an older age. Exercising regularly  can be challenging, if it’s...

    How Small Businesses Impact Their Communities

    How Small Businesses Impact Their Communities

    November 22, 2022

    Supporting locally owned businesses helps keep the community thriving. Do you shop locally? While the convenience of a big box store is enticing, spending money, and sharing the love for...

    How Small Businesses Impact Their Communities

    November 22, 2022

    Supporting locally owned businesses helps keep the community thriving. Do you shop locally? While the convenience of a big box store is enticing, spending money, and sharing the love for...

    elderly couple practicing yoga to support balanced hormones

    5 Ways to Naturally Support Balanced Hormones

    November 13, 2022

    Things change as you age. Saggy skin, wrinkles, forgetfulness, loss of energy, stamina, and even sex drive – it may feel like a downward spiral. Aging doesn’t have to be...

    5 Ways to Naturally Support Balanced Hormones

    November 13, 2022

    Things change as you age. Saggy skin, wrinkles, forgetfulness, loss of energy, stamina, and even sex drive – it may feel like a downward spiral. Aging doesn’t have to be...

    Supplements to Balance Hormones

    Supplements to Balance Hormones

    November 13, 2022

    Part of aging is coming to terms with the symptoms and side effects associated with it. But you do not have to go down easy. Taking steps to maintain balanced...

    Supplements to Balance Hormones

    November 13, 2022

    Part of aging is coming to terms with the symptoms and side effects associated with it. But you do not have to go down easy. Taking steps to maintain balanced...

    What is Metabolic Syndrome?

    What is Metabolic Syndrome?

    November 13, 2022

    You know how it goes; you plan to make an appointment with your healthcare provider so you can stay up to date with your health. Then before you know it,...

    What is Metabolic Syndrome?

    November 13, 2022

    You know how it goes; you plan to make an appointment with your healthcare provider so you can stay up to date with your health. Then before you know it,...

    Back to School Immunity

    Back to School Immunity

    November 13, 2022

    With summer winding down and kids heading back to school, there is no better time than now to make immune system support a part of your everyday routine. Germs are...

    Back to School Immunity

    November 13, 2022

    With summer winding down and kids heading back to school, there is no better time than now to make immune system support a part of your everyday routine. Germs are...

    Support Your Immunity for Healthy Aging

    Support Your Immunity for Healthy Aging

    November 13, 2022

    The immune system is complex, and functions to defend against health threats. Immune function depend upon many factors. This article explores immune response and ways to support immunity with simple...

    Support Your Immunity for Healthy Aging

    November 13, 2022

    The immune system is complex, and functions to defend against health threats. Immune function depend upon many factors. This article explores immune response and ways to support immunity with simple...

    Valerian: Health Benefits and History

    Valerian: Health Benefits and History

    November 11, 2022

    Valerian is a well-known plant to support sleep and emotional health. It may promote a sense of calm and relaxation and provide hormonal support.

    Valerian: Health Benefits and History

    November 11, 2022

    Valerian is a well-known plant to support sleep and emotional health. It may promote a sense of calm and relaxation and provide hormonal support.

    Zinc Plays Many Roles in Health and Well-Being

    Zinc Plays Many Roles in Health and Well-Being

    November 8, 2022

    The mineral zinc helps us maintain optimal health and well-being. This article explores body functions and health benefits of zinc, who is at risk for zinc insufficiency, and problems related...

    Zinc Plays Many Roles in Health and Well-Being

    November 8, 2022

    The mineral zinc helps us maintain optimal health and well-being. This article explores body functions and health benefits of zinc, who is at risk for zinc insufficiency, and problems related...

    Antioxidants: You Know You Need Them, But Why?

    Antioxidants: You Know You Need Them, But Why?

    November 8, 2022

    Obtaining sufficient dietary antioxidants is essential to health and well-being. Many people fail to consume enough antioxidants. Antioxidant foods, vitamins, and supplements counteract free radical damage to healthy cells, balance...

    Antioxidants: You Know You Need Them, But Why?

    November 8, 2022

    Obtaining sufficient dietary antioxidants is essential to health and well-being. Many people fail to consume enough antioxidants. Antioxidant foods, vitamins, and supplements counteract free radical damage to healthy cells, balance...

    Is Your Body Maintaining Healthy Inflammatory Response?

    Is Your Body Maintaining Healthy Inflammatory R...

    November 8, 2022

    Maintaining a healthy inflammation response is essential for health. Inflammatory balance can be altered by many factors, leading to health concerns. This article explores inflammatory balance as it affects cardiovascular...

    Is Your Body Maintaining Healthy Inflammatory R...

    November 8, 2022

    Maintaining a healthy inflammation response is essential for health. Inflammatory balance can be altered by many factors, leading to health concerns. This article explores inflammatory balance as it affects cardiovascular...

    How to Sleep Better Through Daylight Savings Time

    How to Sleep Better Through Daylight Savings Time

    November 2, 2022

    Don’t lose sleep over daylight savings time with these 5 tips. Falling backward during daylight savings time is the more accepted season of the year. Losing an hour of sleep...

    How to Sleep Better Through Daylight Savings Time

    November 2, 2022

    Don’t lose sleep over daylight savings time with these 5 tips. Falling backward during daylight savings time is the more accepted season of the year. Losing an hour of sleep...

    6 Health Benefits of Magnesium

    6 Health Benefits of Magnesium

    October 18, 2022

    Magnesium is vital for the brain and body, but did you know this mineral is also involved in the health of your bones, maintaining healthy blood sugar levels, supporting sleep,...

    6 Health Benefits of Magnesium

    October 18, 2022

    Magnesium is vital for the brain and body, but did you know this mineral is also involved in the health of your bones, maintaining healthy blood sugar levels, supporting sleep,...

    6 Tips to Maintain Your Joints

    6 Tips to Maintain Your Joints

    September 29, 2022

    Joint health is important for youthful aging. Your joints have been one of your biggest supports your entire life, helping you walk, move, sit, stand, jump, and whatever else you...

    6 Tips to Maintain Your Joints

    September 29, 2022

    Joint health is important for youthful aging. Your joints have been one of your biggest supports your entire life, helping you walk, move, sit, stand, jump, and whatever else you...

    5 Ways to Support Your Brain and Memory

    5 Ways to Support Your Brain and Memory

    September 14, 2022

    How to banish brain fog and boost your memory naturally. Why can’t I focus? Most people experience brain fog and forgetfulness as you age. Unfortunately, the decline of cognitive function...

    5 Ways to Support Your Brain and Memory

    September 14, 2022

    How to banish brain fog and boost your memory naturally. Why can’t I focus? Most people experience brain fog and forgetfulness as you age. Unfortunately, the decline of cognitive function...

    How to Sleep Faster? 4 Ways to Sleep Better

    How to Sleep Faster? 4 Ways to Sleep Better

    September 1, 2022

    Most people have heard of the statement “Sleep Like a Baby.” Actually, babies only sleep for 45 minutes at a time. The truth is babies do sleep well, and most...

    How to Sleep Faster? 4 Ways to Sleep Better

    September 1, 2022

    Most people have heard of the statement “Sleep Like a Baby.” Actually, babies only sleep for 45 minutes at a time. The truth is babies do sleep well, and most...

    Boost Metabolism with Natural Lifestyle Changes

    Boost Metabolism with Natural Lifestyle Changes

    August 14, 2022

    5 Ways to Balance Glucose and Support Your Metabolism Naturally Many of us have the best intentions and plans for a long, healthy life. Yet sometimes we may not find...

    Boost Metabolism with Natural Lifestyle Changes

    August 14, 2022

    5 Ways to Balance Glucose and Support Your Metabolism Naturally Many of us have the best intentions and plans for a long, healthy life. Yet sometimes we may not find...

    4 Ways to Stay Healthy Outside in the Spring

    4 Ways to Stay Healthy Outside in the Spring

    May 19, 2022

    Ahhhh, the sweet smell of spring! There is nothing like stepping outside and breathing in the fresh air. The warm sunshine has a way of putting a smile on your...

    4 Ways to Stay Healthy Outside in the Spring

    May 19, 2022

    Ahhhh, the sweet smell of spring! There is nothing like stepping outside and breathing in the fresh air. The warm sunshine has a way of putting a smile on your...

    The Power of Turmeric and Curcumin for Mind & Body

    The Power of Turmeric and Curcumin for Mind & Body

    May 13, 2021

    Turmeric is a spice native to India used for thousands of years in traditional Chinese herbalism and Ayurveda. Curcumin, its active compound, offers many health benefits.

    The Power of Turmeric and Curcumin for Mind & Body

    May 13, 2021

    Turmeric is a spice native to India used for thousands of years in traditional Chinese herbalism and Ayurveda. Curcumin, its active compound, offers many health benefits.

    Can’t Sleep? Causes of Occasional Sleeplessness

    Can’t Sleep? Causes of Occasional Sleeplessness

    May 5, 2021

    Occasional sleeplessness may be caused by a number of factors. Mood, stress, over tiredness. To sleep better, eliminate blue light, avoid caffeine, and exercise. (Plus 10 Methods of Natural Sleep...

    Can’t Sleep? Causes of Occasional Sleeplessness

    May 5, 2021

    Occasional sleeplessness may be caused by a number of factors. Mood, stress, over tiredness. To sleep better, eliminate blue light, avoid caffeine, and exercise. (Plus 10 Methods of Natural Sleep...

    Stevia: History and Benefits

    Stevia: History and Benefits

    March 25, 2021

    History and Benefits of Stevia As one of the most popular sweeteners to replace sugar, stevia has garnered much attention in recent years. But stevia isn’t just a sweetener —...

    Stevia: History and Benefits

    March 25, 2021

    History and Benefits of Stevia As one of the most popular sweeteners to replace sugar, stevia has garnered much attention in recent years. But stevia isn’t just a sweetener —...

    Trace Minerals — An Overlooked Part of Good Health and Well-Being

    Trace Minerals — An Overlooked Part of Good Hea...

    March 7, 2021

    The body only requires a small amount of trace minerals, but they are essential to health. This article discusses mineral functions in the body, minerals in the diet, mineral deficiency,...

    Trace Minerals — An Overlooked Part of Good Hea...

    March 7, 2021

    The body only requires a small amount of trace minerals, but they are essential to health. This article discusses mineral functions in the body, minerals in the diet, mineral deficiency,...

    Vitamin D — A Nutrient With Many Health Benefits

    Vitamin D — A Nutrient With Many Health Benefits

    January 28, 2021

    Vitamin D or calciferol is a fat-soluble vitamin commonly called the “sunshine vitamin.” That’s because it’s not only a nutrient found in food, but we produce it when ultraviolet (UV)...

    Vitamin D — A Nutrient With Many Health Benefits

    January 28, 2021

    Vitamin D or calciferol is a fat-soluble vitamin commonly called the “sunshine vitamin.” That’s because it’s not only a nutrient found in food, but we produce it when ultraviolet (UV)...

    More Sleep and Less Stress for Optimal Health

    More Sleep and Less Stress for Optimal Health

    December 13, 2020

    Two commonly overlooked issues that contribute to health include sleep difficulties and excessive stress. This article explores the various ways poor sleep and too much stress affect well-being. Natural strategies...

    More Sleep and Less Stress for Optimal Health

    December 13, 2020

    Two commonly overlooked issues that contribute to health include sleep difficulties and excessive stress. This article explores the various ways poor sleep and too much stress affect well-being. Natural strategies...

    Magnesium — The Under-Appreciated Hero of Minerals

    Magnesium — The Under-Appreciated Hero of Minerals

    December 13, 2020

    Health experts are finally starting to agree that a simple, inexpensive mineral can support good health in many ways. That mineral is magnesium — and it has many effects on...

    Magnesium — The Under-Appreciated Hero of Minerals

    December 13, 2020

    Health experts are finally starting to agree that a simple, inexpensive mineral can support good health in many ways. That mineral is magnesium — and it has many effects on...

    Adrenal Health Support: What You Should Know About Adrenal Fatigue

    Adrenal Health Support: What You Should Know Ab...

    December 6, 2020

    Adrenal gland concerns can affect  appetite, weight, energy, and other body functions. Adrenal fatigue or burnout happens when adrenal hormone levels are reduced or elevated due to stressors such as...

    Adrenal Health Support: What You Should Know Ab...

    December 6, 2020

    Adrenal gland concerns can affect  appetite, weight, energy, and other body functions. Adrenal fatigue or burnout happens when adrenal hormone levels are reduced or elevated due to stressors such as...

    Categories

    All Blogs
    Nutrients & Supplements
    Health & Wellness
    News
    Lifestyle Strategies
    Diet & Nutrition
    Invalid password
    Enter
    footer-logo
    • Shop

      • All Products
      • Best Sellers
      • Physical
      • Cognitive
      • Health
      • Immune Response
      • Health Kits
      • Sales & Offers
    • Support

      • Subscribe & Save
      • Frequently Asked Questions
      • Shipping Policy
      • Privacy Policy
      • Terms and Conditions
      • Contact
    • Company

      • Our Story
      • Our Process
      • Samento Story
      • Giving Initiatives
      • Affiliate Program
      • Loyalty Program
    • Learn

      • Blog
      • Videos
      • Our Herbs
      • Product Guide
      • Practitioner Locator

    2885 Jupiter Park Drive Suite 1600 Jupiter, FL 33458 | (561) 745-2917 | (800) 730-3130

    ᶧThese statements have not been evaluated by the food and drug administration (FDA). These products are not intended to diagnose, treat,

    • Choosing a selection results in a full page refresh.
    • Opens in a new window.